Leben & Wohnen
Bekanntmachung der öffentlichen Auslegung zum Bebauungsplan Verlängerung der Steinachstraße
Beschreibung
Bekanntmachung der Veröffentlichung gemäß § 3 Abs. 2 BauGB
Stadt Helmbrechts
Aufhebung des Bebauungsplanes „Verlängerung der Steinachstraße“ im Stadtteil Wüstenselbitz.
Der Stadtrat hat in der Sitzung vom 30.10.2025 den Entwurf der Aufhebung des Bebauungsplanes „Verlängerung der Steinachstraße“ im Stadtteil Wüstenselbitz gebilligt.
Der Entwurf der Aufhebung des Bebauungsplanes „Verlängerung der Steinachstraße“ im Stadtteil Wüstenselbitz und die Begründung werden im Internet unter stadt.helmbrechts.de vom01.12.2025 bis einschließlich 09.01.2026 veröffentlicht.
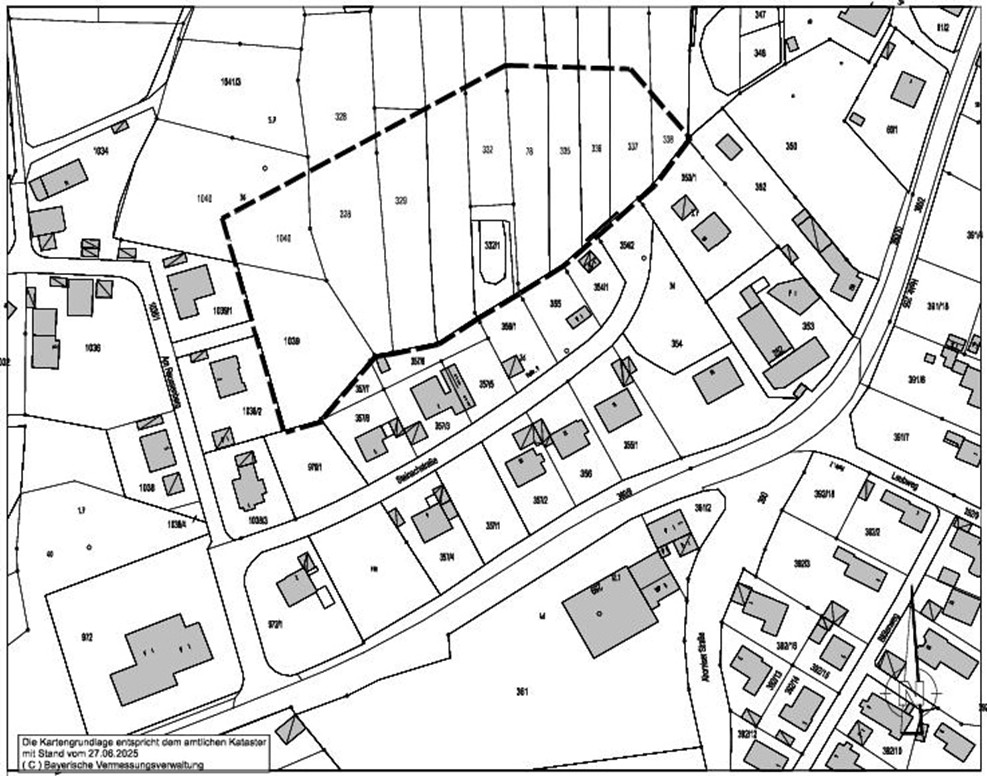
Bitte für den entsprechenden Lageplan hier klicken.
Der Geltungsbereich wird wie folgt umgrenzt:
Im Norden von landwirtschaftlichen Flächen
Im Osten von bestehender Bebauung
Im Süden von bestehender Bebauung entlang der Steinachstraße
Im Westen von bestehender Bebauung entlang der Straße „Am Reussenberg“
Der Geltungsbereich der Aufhebung ist dem rechtskräftigen Bebauungsplan „Verlängerung der Steinachstraße“ im Stadtteil Wüstenselbitz zu entnehmen.
Zusätzlich zur Veröffentlichung im Internet können die Unterlagen im Rathaus der Stadt Helmbrechts, Bauamt, Luitpoldstraße 21, während der Dienstzeiten der Verwaltung
Montag von 8.00 Uhr bis 14.00 Uhr
Dienstag von 8.00 Uhr bis 14.00 Uhr
Mittwoch von 8.00 Uhr bis 14.00 Uhr
Donnerstag von 8.00 Uhr bis 17.30 Uhr
Freitag von 8.00 Uhr bis 12.00 Uhr
von jedermann eingesehen werden.
Stellungnahmen sollen während dieser Frist elektronisch an info@stadt-helmbrechts.de, und bei Bedarf in Textform an Stadt Helmbrechts, Luitpoldstraße 21, 95233 Helmbrechts, oder während der Dienststunden zur Niederschrift abgegeben werden.
Nicht fristgerecht abgegebene Stellungnahmen können bei der Beschlussfassung über die Aufhebung des Bebauungsplanes „Verlängerung der Steinachstraße“ im Stadtteil Wüstenselbitz unberücksichtigt bleiben, wenn die Gemeinde den Inhalt nicht kannte und nicht hätte kennen müssen und deren Inhalt für die Rechtmäßigkeit der Aufhebung des Bebauungsplanes nicht von Bedeutung ist.
Folgende Arten umweltbezogener Informationen sind verfügbar:
Umweltbericht in der Begründung zum Bebauungsplan
Der Inhalt dieser Bekanntmachung und die nach § 3 Abs. 2 S. 1 BauGB zu veröffentlichenden Unterlagen sind auch über das zentrale Internetportal des Landes zugänglich.
Datenschutz:
Die Verarbeitung personenbezogener Daten erfolgt auf der Grundlage der Art. 6 Abs. 1 Buchst. e (DSGVO) i. V. mit § 3 BauGB und dem BayDSG. Sofern Sie Ihre Stellungnahme ohne Absenderangaben abgeben, erhalten Sie keine Mitteilung über das Ergebnis der Prüfung. Weitere Informationen entnehmen Sie bitte dem Formblatt „Datenschutzrechtliche Informationspflichten im Bauleitplanverfahren“ das ebenfalls öffentlich ausliegt.
Helmbrechts, 25.11.2025
gez.
Stefan Pöhlmann
1. Bürgermeister
